Nhà đất Thảo Điền Quận 2
Tổng hợp sản phẩm đang bán từ tháng 1 / 2026
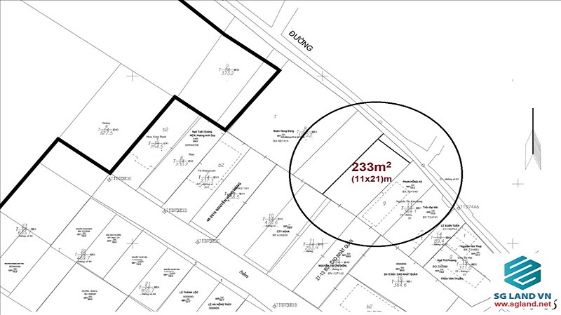
Bán đất Thảo Điền
- Diện tích 255m² (ngang 11 | nở hậu 12m x sâu 21)m, diện tích công nhận trên sổ 233m², đã lên full 100% thổ cư.
- Khu vực dân cư đông đúc sẵn, chạy 3 phút ra tới đường Trần Não hoặc XLHN, đường lộ giới 12m, xây dựng được 5 tầng. ôtô đi được 1 chiều.
- Giá bán: 130tr/m², giảm còn 120tr/m², có thể bán 1 nửa lô, diện tích 116,5m² (ngang 5,5 x 21)m (tổng 15 tỷ/ lô).



Bán biệt bằng giá đất đường Lê Văn Miến nối dài.
- Đường hiện tại rộng 8m với 12 căn biệt thự liên kế cao cấp liền nhau.
- Đất có khuôn viên 7m x 20m = 140m²; đất ở tại đô thị sở hữu lâu dài.
- Khu vực được xây dựng mới: 1 trệt, 2 lầu và sân thượng
- Tiện ích liên kế khá nhiều ở ngay đường Quốc Hương và Xuân Thuỷ: Trường quốc tế Anh _ BIS, trường quốc tế IS HCMC, Chợ Thảo Điền, Khu Phố Thương Mại Xuân Thuỷ, 10 phút đi bộ ra Metro trạm Thảo Điền, Siêu thị AN Phú, ÂN Nam Thảo Điền.
- Pháp Lý đất: Đã có sổ hồng mới
- Vị trí: Đường Quốc Hương là 1 trong những tuyến đường chính của Thảo Điền với lượng phương tiện đi lại nhộn nhịp và tập trung nhiều tiện ích của cả phường Thảo Điền. Đường Quốc Hương đấu nối giao thông với nhiều đường chính như Xuân Thuỷ, đường Lê Văn Miến, Tống Hữu Định, Ngô Quang Huy, Đường số 66, Đường số 47, Đường Nguyễn Văn Hưởng. Nên thuận tiện di chuyển đi lại tới nhiều khu vực ở Thảo Điền.
- Giá bán cực tốt: chỉ 32 tỷ.



Bán căn biệt thự liền kề thuộc khu 215 trên đường Nguyễn Văn Hưởng
- Diện tích sàn 431m², 1 trệt + 3 lầu; diện tích đất 190m2 (7×26)m.
- Nhà thiết kế đẹp 1 trệt 3 lầu đầy đủ nội thất đẹp.
- Sát bên trường quốc tế BIS
- Sổ hồng hướng TB.
- Đang cho thuê 80tr/ tháng.
- Giá bán: 43 tỷ.


Nhà mặt tiền Lê Văn Miến
- Bán nhà phố chính chủ mặt tiền đường lớn phường Thảo Điền.
- Diện tích đất: 150,7m² (đất thổ cư 100%), ngang mặt tiền 5,33m, hậu nở 6,00m, dài 28m. Hướng Bắc, Đông Bắc.
- Diện tích sàn 224m², hiện đang cho thuê, HĐ 54 tr/tháng.
- Đường rộng có vỉa hè. Thuận tiện đi lại gần các trường quốc tế, bệnh viện quốc tế. Khu dân cư cao cấp. Rất dễ cho thuê làm kinh doanh. Ở cũng rất tốt vì nhiều cây xanh, gần sông, không khí mát mẻ.
- Giá bán: 45 tỷ.


Biệt thự phố Fideco Thảo Điền
- Căn nhà tâm huyết nhưng do chuyển kế hoạch định cư nên chủ cần bán gấp!
- Căn nhà biệt thự 7 tầng – “duy nhất” tại khu Biệt thự Fideco, Thảo Điền, Quận 2, Thành phố Thủ Đức.
- Diện tích 140m² (7 x 20)m, 7 tầng có thang máy, 1 hầm đậu được 3 – 4 chiếc ôtô.
- Hai mặt tiền trước sau: Hướng đông bắc và tây nam.
- Nội thất đầu tư hiện đại.
- Giá công khai: 45 tỷ có thương lượng.








Nhà đất Thảo Điền Quận 2
Cần bán biệt thự khu Villa 25 Xuân Thủy, P. Thảo Điền, quận 2.
- Diện tích: 8m x 26m = 208,9m², sổ hồng hoàn công. Tổng DTSD: 542,9m², nhà 1 hầm, 4 tầng, có 6 phòng ngủ, phòng khách, 7WC, nhà nội thất đầy đủ đẹp.
- Giá bán: 55 tỷ.




Bán căn biệt thự liền kề thuộc khu compound 216 Nguyễn Văn Hưởng
- Diện tích đất 218m² (10×21,8m); diện tích sàn 301m².
- Nhà thiết kế đẹp 1 trệt 2 lầu đầy đủ nội thất.
- Sát bên trường quốc tế BIS.
- Sổ hồng hướng TB.
- Giá 55 tỷ.




Cần bán tòa nhà CHDV Đường Số 64, Phường Thảo Điền, Quận 2.
- Diện tích: 8,5 x 27,5m – công nhận: 230m²; Diện tích sàn gần 996m².
- Kết cấu: Hầm trệt 3 tầng sân thượng – Gồm 28 CHDV Full nội thất cao cấp – luôn trong tình trạng thuê full phòng.
- Vị trí: Đường 12m – Không ngập – Hướng Tây Nam.
- Doanh thu: 250 triệu / tháng. Khu vực tập trung nhiều khách tây thuê lâu dài.
- Thích hợp: Mua giữ tiền có doanh thu cao – ổn định – làm văn phòng – đầu tư.
– Pháp lý: Sổ hồng – hoàn công đầy đủ – - Nhà như hình.
- Hướng Tây Nam.
- Giá bán: 55 tỷ.








Cần bán lô nhà đất mặt tiền đường Quốc Hương, Phường Thảo Điền, Quận 2.
- Diện tích: 224m² (ngang 8,8 x sâu 26m).
- Hiện trạng: nhà cấp 4 (tiện đập đi xây lại tòa nhà văn phòng hoặc tòa Căn Hộ Dịch Vụ).
- Đường trước nhà có lộ giới rộng 20m, được xây cao từ 7 – 9 tầng.
- Tiện ích phục vụ cuộc sống đầy đủ xung quanh; nơi sầm uất, nhiều khách hàng qua lại.
Tập trung nhiều tòa nhà đẹp. Chỉ mất 3 phút để di chuyển ra tới cầu Sài Gòn. - Pháp lý: sổ đỏ riêng, mua bán công chứng sang tên nhanh.
- Giá bán tốt: 65 tỷ (có thương lượng).


Đất biệt thự Nguyễn Văn Hưởng, Phường Thảo Điền, Quận 2.
- Diện tích: 487m² (ngang 9,93 x sâu 51)m; Diện tích thực tế 508m2
- Kết cấu: Biệt thự 1 trệt – 1 lầu áp mái đẹp. 4 phòng ngủ, đủ nội thất.
- Khu vực xây dựng: Hầm 7 tầng; Hiện trạng đang là biệt thự cũ 2 tầng.
- Thích hợp: Mua đầu tư vì giá còn tốt – xây tòa nhà văn phòng – tòa nhà CHDV – mua ở hoặc xây mới.
- Vị trí: Vị trí trên trục đường Nguyễn Văn Hưởng Phường Thảo Điền Quận 2; Đường trước nhà có lộ giới 16m (hiện trạng là 11m); nằm cách Nguyễn Văn Hưởng 50m, mất 5 phút để di chuyển ra cầu Sài Gòn.
- Pháp lý : Sổ Hồng riêng
- Giá bán: 67 tỷ (chưa tới 140Tr/m2)


Cần bán biệt Thự dát vàng mặt đường Nguyễn Văn Hưởng, Phường Thảo Điền, Quận 2.
- Diện tích đất 225m² (ngang 9,5 x sâu 25)m.
- Hiện trạng: Biệt Thự 1 Trệt 3 Lầu. Đầy đủ nội thất gỗ cao cấp dát vàng.
- Vị trí: Mặt tiền đường Nguyễn Văn Hưởng. Đầy đủ tiện ích xung quanh..
- Giá Bán: 69 tỷ.








Cần bán gấp lô đất gần Khu Vincom Megamall Thảo Điền.
- Diện tích công nhận 804m² (ngang 26 x sâu 31)m.
- Quy hoạch: Đất ở hổn hợp.
- Giá bán: 70 tỷ (87tr/m²).


Nhà đất Thảo Điền Quận 2
Cần bán gấp lô đất biệt thự khu 25 Xuân Thủy, Thảo Điền:
- Diện tích: 328,7m² (15x26m) vuông vức.
- Sổ hồng chính chủ, đường 12m rộng rãi.
- Đất nằm trong khu biệt thự có bảo vệ, không ngập nước.
- Xung quanh đường Xuân Thủy đầy đủ tiện ích…
- Giá bán: 75 tỷ thương lượng.



Cần bán đất mặt tiền đường 46 Thảo Điền
- Diện tích: 360m², thổ cư 100%. Thực tế sử dụng 380m².
- Ngang 10,3m, nở hậu 15m.
- Đường trước nhà rộng 10m, thông ra Quốc Hương.
- Có thể xây cao 7 tầng; cam kết không bị ngập nước.
- Giá bán: 72 tỷ.


Nhà đất Thảo Điền Quận 2
Bán lô đất gần nhà hàng The Deck đường Nguyễn Ư Dĩ, Thảo Điền Quận 2
- Có diện tích 531,8m², đất thổ cư 436m² đất, ngang 20 × sâu 26,6m.
- Vị trí lô đất nằm trong khu toàn là biệt thự cao cấp và gần khu biệt thự ven sông Sài Gòn.
- Giá bán: 75 tỷ / 531,8m² ~ 141 Triệu /m² đất.


Đất khu biệt thự 204 Nguyễn Văn Hưởng Thảo Điền
- Diện tích: 434m²(17x25m) vuông vức.
- Sổ đỏ, đường 12m.
Vị trí thoáng mât an ninh yên tĩnh. - Giá bán: 75 tỷ. giá tốt nhất thị trường tương đương 175 triệu/m²


Cần bán biệt thự đường số 46, phường thảo điền, quận 2
- Diện tích khuôn viên đất: ngang 25m x sâu 23m, công nhận 583m². thổ cư 100%.
- Biệt thự xây gồm 1 trệt 1 lầu có 4 phòng ngủ, 1 phòng làm việc, sân vườn và hồ bơi rộng.
- Ngoại khu có nhiều tiện ích xung quanh như Trường Học Quốc Tế, Spa, ngân hàng, nhà hàng tiêu chuẩn Châu Âu…
- Giá bán: 85 tỷ, còn thương lượng.








Nhà đất Thảo Điền Quận 2
Cần bán nhanh căn biệt thự King Crown, Phường Thảo Điền, Quận 2.
- Vị trí: Mặt tiền đường Nguyễn Văn Hưởng view sông mát mẻ, khu an ninh chặt chẽ, dân trí cao.
- Hiện trạng căn biệt thự chủ đầu tư mới bàn giao phần thô.
- Kết cấu 1 hầm, 1 trệt, 2 lầu + áp mái.
- Có hồ bơi riêng sau nhà.
- Diện tích đất: 334m²
- DTXD hơn: 600m².
- Giá bán thiện chí: 80 tỷ thương lượng cho KH thanh toán nhanh và công chứng ngay!





Bán đất biệt thự khu đường Xuân Thủy, Thảo Điền, Quận 2
- Chuyển nhượng lô đất (có biệt thự cũ) đường Xuân Thủy, phường Thảo Điền, đoạn gần chợ Thảo Điền.
- Đường ôtô 7 chỗ, thoáng, mát, thoải mái, view sông, …
- Vị trí: Gần Trường học, trường quốc tế, cafe, VinMark, Bách Hóa Xanh, ăn uống, chợ, nhà hàng, khách sạn, ngân hàng, Sài gòn Pearl, công viên, sông sài gòn, gym cao cấp, …
- Cách đường Xuân Thủy khoảng 120m.
- Tiện ích xung quanh bán kính 400m: Đầy đủ tiện nghi, khu người nước ngoài sinh sống, …
- Quy hoạch: Khu dân cư.
- Diện tích: 774m² (22x35m²) nở hậu, full thổ cư SHR, công chứng thực ngay.
- View sông: 25,3m thoải mái.
- Hướng: chính Bắc.
- Giá bán: 98 tỷ giảm còn 75 tỷ (97tr/m² – thương lượng).


Lô đất hai mặt tiền số 161 Nguyễn Văn Hưởng Thảo Điền
- Diện tích 15,5 x 20 = 310m² thổ cư toàn bộ, đất nằm gần sông rất mát mẻ, trong khu có công viên.
- Là một trong những vị trí đẹp, hiếm tại Thảo Điền, đường Nguyễn Văn Hưởng là con đường đẹp, khu sang và có nhiều trường Quốc tế, căn hộ và khu biệt thự cao cấp.
- Tiện xây ở hoặc làm nhà hàng, văn phòng, showroom …
Đất 100% thổ cư, sổ hồng chính chủ sang tên. - Giá bán 93 tỷ.



Nhà đất Thảo Điền Quận 2
Bán biệt thự Thảo Điền
- Nằm mặt tiền đường Số 6 (ngay đường Trần Ngọc Diện rẽ vào): hiện trạng gồm biệt thự cũ, có hồ bơi, sân vườn rộng, Diện tích đất 566m2 (28m x 20m), đã lên full 100% đất thổ cư.
- Nhà hướng Đông Bắc. Hiện đang cho thuê giá 2750 USD/ tháng, hợp đồng đến 07/2023 (có thể lấy lại bất kỳ).
- Khu vực tập trung nhiều tiện ích, gần trường Quốc tế, bệnh viện, nhà hàng ven sông, trung tâm thương mại, công viên,…
- Thích hợp cho khách hàng mua để ở hoặc đầu tư kinh doanh, xây mới làm văn phòng công ty.
Khu có giá thuê cao thích hợp đầu tư lâu dài. - Giá bán: 100 tỷ VND





Biệt thự Pháp cực đẹp góc 2 mặt tiền đường Nguyễn Ư Dĩ, p. Thảo Điền, Quận 2.
- Mặt tiền đường Nguyễn Ư Dĩ, phường Thảo Điền, Quận 2. Diện tích khuôn viên 700m² (26m x 25m), vuông vức.
- Thổ cư công nhận trên sổ là 444m² (hai mặt tiền); còn lại là đất lộ giới, 1 trệt, 1 lầu, 1 áp mái (làm kho) 4 phòng ngủ chính, hồ bơi sân vườn.
- Khu vực xung quanh có nhiều biệt thự, nhà hàng ăn uống cao cấp.
- Cách trung tâm mua sắm Vincom Mega Mall 500m, cách hồ bơi An Phú 700m, cách ga xe điện gần nhất 3 phút, ra tới cầu Sài Gòn để về trung tâm mất 5 phút; hướng Tây Bắc ….
- Giá bán 125 tỷ.


Bán lô đất Thảo Điền gần siêu thị Vincom
- Mặt tiền đường có lộ giới 16 mét (hiện trạng đang là 12m), diện tích thực tế 485m²; Diện tích công nhận trong sổ 430m², đã lên hết thổ cư gần hết, có thể xây cao 12 – 15 tầng.
- Diện tích: ngang 18 x dài 25m.
- Đường rộng lớn thông thoáng, thích hợp xây dựng toà nhà văn phòng, công ty, căn hộ dịch vụ, nhà hàng, biệt thự …
- Vuông vức, sổ hồng, pháp lý sạch 100%.
Giá bán: 125 tỷ.


Nhà đất Thảo Điền Quận 2
Cần bán gấp lô đất đẹp mặt tiền số Quốc Hương Thảo Điền:
- Diện tích: 605m² trong đó phần trong lộ giới còn 595m².
Ngang 16m x sâu 38m. - Đường trước rộng 20m.
- Phía sau có hẻm sau.
- Sổ hồng hoàn công hoàn chỉnh; Thích hợp xây dựng toà nhà văn phòng, căn hộ dịch vụ.
- Giá bán: 140 tỷ thương lượng chính chủ.


Nhà đất Thảo Điền Quận 2
Bán biệt thự khu compound Phú Nhuận
- An ninh: 3 lớp cổng bảo vệ duy nhất tại Thảo Điền Quận 2.
Diện tích công nhận: 1053m²; thổ cư toàn bộ. - Biệt thự có kiết trúc gồm 1 trệt, 2 lầu với 4 phòng ngủ chính, phòng khách rộng nguyên tầng trệt thông với nhà bếp, trang bị nội thất gỗ cao cấp.
- Nhà thiết kế rộng rãi, thoáng mát, có hồ bơi và sân vườn rộng với nhiều cây xanh cảnh quang cực đẹp.
- Biệt thự thuộc khu Compound khép kín, an ninh 24/24, khu yên tĩnh, tập trung nhiều người nước ngoài sinh sống và làm việc, môi trường văn minh, gần nhiều tiện ích: Trường Quốc tế, bệnh viện, nhà hàng ven sông,
- Giá bán: 155 tỷ còn thương lượng cho khách thiện chí.








Biệt thự đường Nguyễn Ư Dĩ Thảo Điền
- Diện tích khuôn viên 1055m2, thổ cư 688m2, còn lại là đất vườn.
- Biệt thự kiểu Pháp 1 trệt 1 lầu gồm 4 phòng ngủ rộng.
- Nằm trong khu biệt thự 2 lớp an ninh.
- Biệt thự có phòng giải trí, phòng xông hơi, nội thất gỗ tự nhiên, phòng thoáng view đẹp. Sân vườn trồng cỏ, cây xanh, hồ bơi đẹp.
- Giá bán 170 tỷ.






Bán khu đất Thảo Điền
- Khu đất có diện tích 1750m² (ngang 20,5 x 70)m, bao gồm:
- 1 căn biệt thự 200m², 3 lầu, 7 phòng ngủ
- 1 biệt thự mini gồm 1 trệt, 1 lầu, 3 phòng
- 1 toà nhà 164m² – 10 phòng, 3 tầng
- 1 toà nhà 2,5 tầng – 12 phòng
- Phía sau xây nhà cấp 4 cho thuê gồm dãy 10 phòng, lối đường đi 1 dãy cho thuê gồm 7 phòng nữa.
- Tổng số phòng trọ đang cho thuê là 60 – full phòng, doanh thu hơn 180 tr/tháng.
- Phía mặt tiền đường Nguyễn Ư Dĩ có 3 cồng vào: 1 bên cho thuê spa 6m x 10m,
- 1 cổng sân vườn gia đình ở, 1 lối đi công vào khu nhà trọ.
- 2 bên trái phải và phía sau giáp 2 trường học mầm non Thảo Điền và 1 trường của Nhật, phía sau đuôi giáp sông rạch.
- Nằm khu cao cấp Thảo Điền, xung quanh nhiều người nước ngoài sinh sống.
- Vị trí nằm ven sông rạch, rất thoáng mát.
- Đường nhựa rộng 12m, thông thoáng có lề đường, khu cao cấp Thảo Điền.
- Diện tích được công nhận trong sổ 1150m² (thổ cư 100%); Phần diện tích phía sau của dãy nhà trọ lấn ra gần sông rạch thêm 500m² nữa.
- Thích hợp cho xây trường học, xây tòa nhà văn phòng hoặc tòa CHDV cho thuê.
- Giá bán: 180 tỷ.




Bán đất biệt thự mặt tiền sông.
- Vị trí đất thuộc khu biệt thự Eden ven sông Sài Gòn; số 117 Nguyễn Văn Hưởng, phường Thảo Điền, Quận 2, Tp HCM.
- Diện tích tổng 2 lô trên sổ đỏ: 746m².
- Diện tích tổng 2 lô thực tế: 820m².
- Giá: 200 tỷ.



Biệt thự Thảo Điền đẹp, nằm tại khu Compound Thảo Điền 1.
- Hướng Đông Nam, thiết kế độc đáo trên Cảnh Đồi vườn hoa rộng phía trước và hồ bơi sân thượng ngắm sông Sài Gòn phía sau.
- Diện tích sàn gần 800m², 4 tầng, khuôn viên đất sân vườn hồ bơi 700m² (ngang 17m, dài 44m, hồ bơi lớn nhất khu).
- Nội thất 5 phòng ngủ, 4 WC, chỗ đậu 7 xe hơi, sảnh tiếp khách, sảnh tiệc, phòng ăn, phòng làm việc/đọc sách, karaoke/chiếu phim gia đình, sàn biểu diễn, massage/thể dục, sân thượng ban công rộng thoáng mỗi tầng. Trang trí nội thất cao cấp …
- Giá bán: 200 tỷ.








Nhà đất Thảo Điền Quận 2
Biệt thự khu Fideco Thảo Điền.
- Bán biệt thự thảo điền giá rẻ, khu compound Thảo Điền, căn góc 2 mặt tiền với tổng diện tích 974m²;
- Có thể tách làm 2 lô biệt lập với 2 sổ như sau: Sổ đất 481m² làm sân vườn hồ bơi và nhà chòi; Sổ 493m² có một căn Villa phong cách Châu Âu rất đẹp. Ngang 21,33 m x Dài 42,25m (Nở hậu 26,09m)
- Villa xây gồm 1 trệt hai tầng phòng cách Châu Âu đẹp sang trọng với 9 PN, phòng làm việc, khu vui chơi, sân vườn và hồ bơi rất rộng và đẹp, sau lưng sân bóng đá nhiều cây xanh mát mẻ.
- Hướng Đông Nam và Đông Bắc khu an ninh yên tĩnh gần sông Sài Gòn, công viên ven sông, khu vui chơi giải trí, trường Quốc tế, nhà Riêng hiện đang Cho thuê gấp.
- Giá bán: 250 tỷ.








Bán đất lớn xây cao 45 tầng mặt tiền đường Trần Ngọc Diện.
- Diện tích 1343,6m² (ngang 22 x sâu 61)m.
- Pháp lý: Sổ hồng cá nhân chính chủ, đã lên hết thổ cư.
- Hiện trạng: Đất trống; vị trí đẹp, đường rộng 12 mét (quy hoạch lộ giới 16m).
- Cách Xa Lộ Hà Nội 50 mét.
- Cách Tuyến Metro 50 mét.
- Có quy hoạch toàn khu 1/500. Xây dựng 3 hầm 45 tầng.
- Tặng bản vẽ thiết kế xây dựng.
- Pháp lý sạch không thế chấp.
- Khu vực không bị ngập nước.
- Vị trí đẹp kết nối với nhiều tuyến đường khác. Lô đất nằm gần đường Quốc Hương, đường Thảo Điền, gần dự án Thảo Điền Pearl, Masterise Thảo Điền tòaT1 – Tòa T2 – Tòa T3 – Tòa T4 – Tòa T5, tập trung nhiều tiện ích cao cấp, Trường học quốc tế, Bệnh viện quốc tế.
- Đi bộ 200m là tới Siêu Thị WinMart, VinCom Thảo Điền. Tini World, khu vui chơi trẻ em.
- Đi bộ 200m là tới Trạm Nhà Ga Tuyến Metro Số 1: Bến Thành – Suối Tiên.
- Hỗ trợ kiểm tra quy hoạch xây dựng 45 tầng.
- Giá bán: 336 tỷ (khoảng 250 triệu/m²).
NHÀ ĐẤT THẢO ĐIỀN QUẬN 2
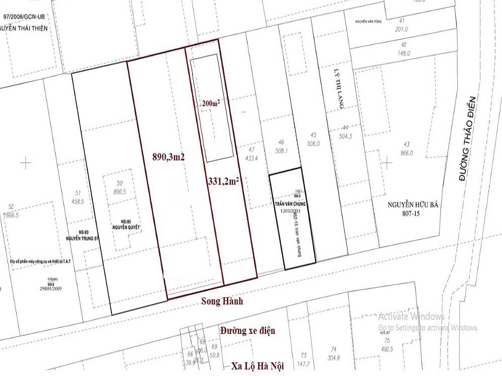
Bán thửa đất mặt tiền Xa Lộ Hà Nội, Thảo Điền, Quận 2
- Tổng DT gần 890m² (ngang 16m x 56m), vuông vức.
- Vị trí: Ngay trung tâm Thảo Điền, hưởng trọn vẹn các lợi ích khi tuyến Metro số 1 đi vào vận hành, gần ngay ngã 3 đường Thảo Điền, cách khu căn hộ cao cấp Masteri chỉ 200m.
- Khu đất QH được xây cao tầng(check QH miễn phí).
- Pháp lí sạch sẽ, không tranh chấp hay dính nợ xấu NH.
- Giá 356 tỷ.


Và còn nhiều nữa, xin quý khách liên hệ để được nhận thêm các thông tin chi tiết. Chúng tôi chuyên nhận ký gửi nhà đất, ký gửi bất động sản, bán đất thảo điền, nhà đất thảo điền Quận 2, bán biệt thự Thảo Điền, bán đất Thảo Điền Quận 2
Chúng tôi chuyên nhà đất khu Trần Não, Bình An và nhà đất Thảo Điền Quận 2, với hơn 12 năm kinh nghiệm hoạt động tại thị trường địa phương, am hiểu sâu về đường xá, thị trường. Tận tâm, tận tình, trách nhiệm cao.
ĐẶT LỊCH XEM ĐẤT – BIỆT THỰ THẢO ĐIỀN – HÃY LIÊN HỆ NGAY CHÚNG TÔI
Hotline Mr Thọ 0903771500 ( Zalo – Viber – Whatsapp)
Email: tho8888@gmail.com
Biệt thự Thảo Điền – Biệt thự Riviera – Biệt thự Sala Đại Quang Minh
Biệt thự Holm – Bán biệt thự Trần Não – bán đất khu dân cư phú nhuận quận 9 – Nhà đất Quận 2
Bán đất mặt tiền Nguyễn Văn Hưởng
93 Tỷ VNDBÁN ĐẤT MẶT TIỀN NGUYỄN VĂN HƯỞNG Đất hai mặt tiền khu biệt thự Thảo Điền 2, số 159 Nguyễn Văn Hưởng, phường Thảo Điền, Quận 2. và mặt tiền đường nội bộ rộng 12m. Diện tích ngang 310m² (15,5m x sâu 20m) thổ cư toàn bộ, đất nằm gần sông rất mát mẻ, trong […]
Bán đất Thảo Điền
22 Tỷ VNDBán đất Thảo Điền Bán đất Thảo Điền – giá cực tốt Vị trí: giáp ranh 2 khu biệt thự Kim Sơn và khu biệt thự Eden Thảo Điền. Lô đất được tách ra từ lô 1300m²; Diện tích khuôn viên 406,6m² (10,26m x 32m, nở hậu 15,85m), trong đó có sẵn 136,6m² đất thổ […]
Nhà đất Thảo Điền mặt tiền sông
26 Tỷ VNDNhà đất Thảo Điền mặt tiền sông Bán nhà đất Thảo Điền liền nhau khúc mặt tiền đẹp nhất đường Nguyễn Văn Hưởng, nhìn sông, nhìn LM81, vị trí tuyệt đẹp để làm văn phòng hay kinh doanh dịch vụ ăn uống; Diện tích cả 2 lô: 184,5m² (ngang 7,67m x sâu 24,3m) Lô 1 […]
Bán đất khu biệt thự Fideco Thảo Điền
47 Tỷ VNDBán đất khu biệt thự Fideco Thảo Điền https://youtu.be/cLnpOUeYrYA?si=axz94mPwAZLwTCc5 Diện tích khuôn viên 238m² (ngang 14m x sâu 17 m), đường trước nhà rộng 9m, tiện xây biệt thự để ở. Đây là khu nhiều nhà hàng mua sắm, nhiều Salon spa Chăm sóc sắc đẹp, nhiều nơi để luyện tập thể dục thể thao, […]
Bán đất Thảo Điền mặt tiền Nguyễn Duy Hiệu https://youtu.be/lKuuqimxgbA?si=M8VCt3F71s07VtAM Diện tích thực tế 513m²; diện tích công nhận theo sổ 480m² (ngang 17.78m x sâu 27m), thổ cư 100%, đường trước nhà rộng 12m. Hướng chính Nam, mát mẻ quanh năm. Vị trí tuyệt đẹp, phù hợp cho nhiều mục đích sử dụng như […]
Bán đất mặt tiền Nguyễn Gia Trí, Quận Bình Thạnh Vị trí đắc địa cho sự phát triển công năng sử dụng đất đa dạng Nằm tại vị trí đắc địa, đất mặt tiền Nguyễn Gia Trí (đường D2 cũ), kết nối trực tiếp với đường Điện Biên Phủ, gần trường HUTECH, diện tích khuôn […]





