Nhà biệt thự Thảo Điền bán
Mô tả
Nhà biệt thự Thảo Điền bán
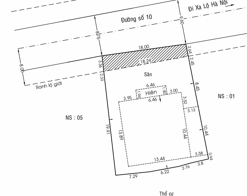
- Diện tích thực tế: 485m² (18 x 25)m, diện tích công nhận trong sổ 430m², đã lên hết thổ cư, và đặc biệt có thể cải tạo được thành một building vừa ở vừa cho thuê làm văn phòng cao 12 – 15 tầng.
- Nhà biệt thự Thảo Điền bán nằm mặt tiền đường 10 Thảo Điền chỉ cách Vincom Mega-mall Thảo Điền vài bước chân, tiện lợi cho việc đi lại mua sắm, ăn uống hàng ngày; Ngoài ra, môi trường bao quanh biệt thự là các trường học danh tiếng các cấp – từ lớp chồi cho đến Đại Học các trường quốc tế, Anh – Mỹ – Úc đều có tại phường Thảo Điền để con Em học tập và phát triển toàn diện một cách tốt nhất.
- Với diện tích rộng rãi, bề ngang lớn, không gian thoáng đãng, đây không chỉ là nơi để ở mà còn mang giá trị thương mại rất lớn, vừa có thể mở văn phòng cho thuê vừa có thể mở các dịch vụ để thư giãn và giải trí.
- Giá bán: 125 tỷ.

Chúng tôi giới thiệu nhà biệt thự Thảo Điền bán như sau
- Bạn đang tìm kiếm một căn biệt thự đẹp và sang trọng tại khu vực Thảo Điền? Chúng tôi có một căn nhà đáng mơ ước với thiết kế Châu Âu Cổ Điền, mua đất tặng nhà và vị trí đắc địa.
- Căn biệt thự này nằm trong khu dân cư Thảo Điền, quận 2, TPHCM. Với diện tích rộng rãi, không gian thoáng đãng, nhà biệt thự Thảo Điền bán không chỉ là nơi để ở mà còn là nơi để thư giãn và giải trí.

- Thiết kế của căn nhà là sự kết hợp giữa phong cách hiện đại và truyền thống. Với không gian mở rộng và cửa sổ toàn diện, căn biệt thự mang lại cho bạn cảm giác sống trong một không gian xanh mát, gần gũi với thiên nhiên.
- Kiến trúc kiểu Châu Âu cổ, dành nhiều không gian trống xung quanh, bạn sẽ được tận hưởng cảm giác sống giữa thiên nhiên, nhà biệt thự Thảo Điền bán với không gian tuyệt đẹp và hòa mình với thiên nhiên.

- Với giá bán hấp dẫn, đây là cơ hội để bạn sở hữu một căn nhà mơ ước tại khu vực Thảo Điền. Liên hệ ngay với chúng tôi để biết thêm chi tiết và lên lịch xem nhà. Chúng tôi cam kết mang lại cho bạn sự hài lòng tuyệt đối về nhà biệt thự Thảo Điền bán của mình.

A. Cảnh quan – nhà biệt thự Thảo Điền bán
- Sơ đồ căn nhà hữu hiệu này sẽ tạo nên dáng dấp ấn tượng với khu mặt tiền hấp dẫn và thoải mái của nó.
- Khu tiền sảnh thông thoáng rộng rãi sẽ dẫn tới tất cả các khu vực của căn nhà. Căn phòng ăn chính được xây nhô ra nằm ở bên phải và mở tới căn nhà bếp ở phía sau nhà biệt thự Thảo Điền bán.
- Cánh trái phòng ngủ nằm kề bên khu tiền sảnh ở bên trái và gồm có ba phòng ngủ và hai phòng tắm. Nhà biệt thự Thảo Điền bán có căn phòng ngủ chính có một tấm trần kiểu thánh đường, các cửa đi trượt dẫn tới cổng vòm và sàn lộ thiên phía sau, và có một phòng tắm riêng với một bồn tắm.
- Khu đại sảnh ở trung tâm, căn phòng dùng điểm tâm và căn nhà bếp tác động ngược trở lại với khu tiền sảnh của nhà biệt thự Thảo Điền bán.
- Lò sưởi của khu đại sảnh được lồng vào hai cái kệ xây dính tường và có thể được nhìn thấy từ nhà bếp lẫn phòng dùng điểm tâm. Tất cả ba khu vực này đều có các tấm trần kiểu thánh đường và có tầm nhìn ra khu ngoại thất.

ĐẶT LỊCH XEM ĐẤT – BIỆT THỰ THẢO ĐIỀN – HÃY LIÊN HỆ NGAY CHÚNG TÔI
Hotline Mr Thọ 0903771500 ( Zalo – Viber – Whatsapp)
Email: tho8888@gmail.com
Biệt thự Thảo Điền – Biệt thự Riviera – Biệt thự Sala Đại Quang Minh
Biệt thự Holm – Bán biệt thự Trần Não – nhà biệt thự Thảo Điền bán – Biệt thự đẹp Thảo Điền Quận 2
Bán biệt thự Kim Sơn Thảo Điền
115 Tỷ VNDBán biệt thự Kim Sơn Thảo Điền Biệt thự cao cấp kiểu cổ điển kết hợp (nhà châu Âu, vườn châu Á), có diện tích khuôn viên đất 786m² (15 x 52)m, thổ cư toàn bộ, sở hữu lâu dài. Diện tích sàn 700m², nhà hướng Nam rất mát mẻ. Kết cấu kiến trúc gồm […]
Bán biệt thự Thảo Điền
150 Tỷ VNDBán biệt Thảo Điền mặt tiền nằm mặt tiền đường Trần Văn Sắc, diện tích khuôn viên đất 693m2 (ngang 28m x sâu 26m), diện tích sàn xây dựng theo giấy chứng nhận 555m2, đã lên hết thổ cư, có nhà cho người giúp việc riêng và nhà ở cho bảo vệ riêng.
Nhà đẹp, hồ bơi rộng mát, sân vườn thảm cỏ xanh, sạch sẽ. Hiện đang cho người nước ngoài thuê để ở, giá 174tr/ tháng. Giá bán 111 tỷ.
Biệt thự gần sông Sài Gòn
115 Tỷ VNDBiệt thự gần sông Sài Gòn Diện tích khuôn viên 639m² (ngang 18m x sâu 35m), diện tích sàn 700m², 1 trệt, 2 lầu, 1 áp mái, 4 phòng ngủ, hồ bơi, sân vườn,.. ngay sông Sài Gòn, nhìn sang bên kí sông thấy tòa nhà cao nhất Việt Nam (Land Mark 81) hiện đang […]
Bán biệt thự mặt tiền sông Sài Gòn
120 Tỷ VNDBiệt thự mặt tiền sông Sài Gòn, diện tích khuôn viên 750m2 (trên sổ công nhận 405m2 thổ cư, còn lại là đất lấn sông), giá 115 tỷ.
Biệt thự Thảo Điền Quận 2 bán
115 Tỷ VNDBiệt thự thảo điền quận 2 bán Biệt thự cao cấp nằm khu đường đường Xuân Thủy, Diện tích khuôn viên đất : 529m2 (20mx25m) Diện tích xây dựng: 132m2 Nhà : 2 tầng + Lửng + Áp mái Tổng diện tích sàn xây dựng: 380m2 Đất: ở lâu dài .Đường 12m. Giấy tờ nhà: Sổ […]
Nhà biệt thự Thảo Điền bán
125 Tỷ VNDNhà biệt thự Thảo Điền bán Diện tích thực tế: 485m² (18 x 25)m, diện tích công nhận trong sổ 430m², đã lên hết thổ cư, và đặc biệt có thể cải tạo được thành một building vừa ở vừa cho thuê làm văn phòng cao 12 – 15 tầng. Nhà biệt thự Thảo Điền […]
Bán biệt thự thảo điền q2
130 Tỷ VNDBán biệt thự Thảo Điền q2 Diện tích đất: 755m² Diện tích sàn xây dựng: 405m². 4 phòng ngủ với phòng tắm riêng. Phòng giải trí gia đình; Phòng khách và phòng ăn với thiết kế không gian mở kéo dài tới sàn gỗ cạnh hồ bơi; Phòng vệ sinh cho khách; Khu bếp mở […]
Địa chỉ
- Địa chỉ Thảo điền , quận 2
- Quốc gia Việt Nam
- Province/State Hồ Chí Minh
- City/Town Quận 2
- Phường/xã Thảo Điền
- Postal code/ZIP 71107
Tổng quan
- Mã bất động sản 485
- Giá 125 Tỷ VND
- Loại bất động sản Biệt Thự Nhà Phố, Biệt Thự Thảo Điền
- Tình trạng bất động sản Mua bán
- Số phòng 4
- Phòng ngủ 4
- Phòng tắm 3
- Diện tích đất 485 m2
- Khoảng giá Từ 121 - 130 tỷ
- BÁN BIỆT THỰ THẢO ĐIỀN QUẬN 2 125









